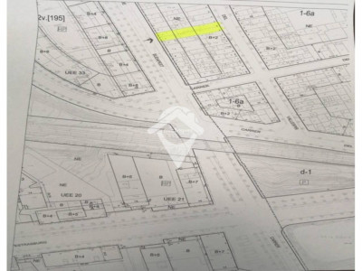
Mis Finques comercializa la venta de 2 parcelas para edificar por 2 calles en bajos + 2.
810 m² de techo entre Can Llong y Can Oriac.
10 Metros de fachada en bajos + 2 y por 16 m² edificables.
10 Metros de fachada en bajos + 2 y 11 metros de profundidad edificable.
Total 810 m² de techo, solar de 330 m²
Llámenos y estaremos encantados de poder ayudarle

MIS FINQUES - SANT QUIRZE

Pl. 14 d´abril, 5B, 08192 Sant Quirze del Vallès

Tel: 937212288
Solicitar información